Entre em contato com um de nossos especialistas!

Beginner scuba diving in Búzios

beginner scuba diving in búzios: Uma Experiência Transformadora!

O beginner scuba diving in búzios oferece o primeiro contato guiado com o mergulho recreativo, ideal para quem nunca utilizou cilindro e deseja vivenciar o ambiente subaquático com total segurança .

Antes da imersão, o participante recebe orientações sobre equalização, respiração e sinais de comunicação, promovendo confiança e uma adaptação tranquila na água.

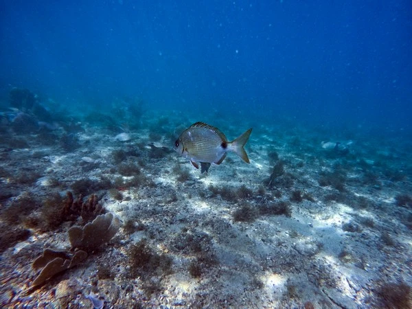
Durante o mergulho, cada etapa é acompanhada por um instrutor experiente, permitindo observar espécies marinhas, corais coloridos e paisagens impressionantes com visibilidade privilegiada.

É uma experiência transformadora, perfeita para iniciantes que buscam algo emocionante e inesquecível.

A Beleza do Mundo Subaquático de Búzios

Búzios é conhecida por suas praias deslumbrantes e vida noturna vibrante, mas seu universo subaquático é igualmente fascinante.

O beginner scuba diving in búzios permite explorar a rica vida marinha que habita as águas cristalinas desse paraíso brasileiro.

De peixes coloridos a majestosos corais, cada mergulho é uma oportunidade única de vivenciar de perto a beleza da natureza.

Com a orientação dos instrutores experientes da P&P Mergulho, você mergulha com segurança e descobre os tesouros escondidos abaixo da superfície.

Mergulho de Batismo: A Porta de Entrada para um Novo Mundo

O diving baptism é a oportunidade ideal para quem sonha em experimentar o mundo do mergulho pela primeira vez, sem necessidade de experiência prévia ou habilidades avançadas de natação.

Antes da descida, o instrutor fornece instruções claras sobre respiração, equalização, comunicação subaquática e segurança, gerando confiança desde o início.

A imersão guiada permite aproveitar cada detalhe do ambiente marinho, combinando aventura, conquista pessoal e contato real com a vida marinha em um cenário inesquecível.

P&P Mergulho: Seu Parceiro na Exploração Subaquática

A empresa P&P Mergulho é especializada em mergulho recreativo e treinamento profissional certificado pela PADI, fundada em 2012 e localizada em Armação dos Búzios (RJ).

Com anos de experiência, é referência regional e nacional em experiências subaquáticas e treinamento técnico em mergulho.

Atende principalmente turistas brasileiros e estrangeiros, com grande fluxo de visitantes do Chile, Argentina e Europa, interessados em lazer, natureza e turismo de aventura.

Seu principal serviço é o mergulho de batismo, realizado com instrutores altamente qualificados, estrutura completa e atendimento individualizado.

A empresa também oferece cursos PADI para todos os níveis, passeios de barco, mergulho de praia, fotografia profissional, recarga de cilindros e loja e oficina especializada.

Com atendimento focado no B2C, a P&P atua principalmente em Búzios e também atende a demanda turística de Arraial do Cabo, proporcionando uma experiência segura e personalizada em um dos cenários mais biodiversos do país.

Mergulhe em uma Nova Aventura com o beginner scuba diving in búzios!

Ao iniciar sua jornada de beginner scuba diving in búzios com a P&P Mergulho, você não está apenas explorando o mundo subaquático, está vivendo uma experiência transformadora que ficará marcada para sempre.

A emoção de respirar debaixo d’água, o encantamento ao encontrar a vida marinha de perto e a sensação de conquista ao alcançar novas profundidades – tudo isso espera por você nas águas cristalinas de Búzios.

Portanto, dê o primeiro passo, descubra um novo mundo sob a superfície e deixe que a magia do mergulho de batismo abra seus olhos para as maravilhas do oceano.

Pronto para mergulhar na aventura? Fale conosco!

Encontrou o que procurava?

Faça seu orçamento grátis agora mesmo!

Principais regiões onde a P&P atende Beginner scuba diving in Búzios:

RJ
  • Armação dos Búzios
  • Rio de Janeiro
  • São Gonçalo
  • Duque de Caxias
  • Nova Iguaçu
  • Campos dos Goytacazes
  • Belford Roxo
  • Niterói
  • São João de Meriti
  • Petrópolis
  • Volta Redonda
  • Macaé
  • Magé
  • Itaboraí
  • Cabo Frio
  • Maricá
  • Nova Friburgo
  • Barra Mansa
  • Angra dos Reis
  • Mesquita
  • Teresópolis
  • Rio das Ostras
  • Nilópolis
  • Queimados
  • Araruama
  • Resende
  • Itaguaí
  • São Pedro da Aldeia
  • Itaperuna
  • Japeri
  • Barra do Piraí
  • Saquarema
  • Seropédica
  • Três Rios
  • Valença
  • Cachoeiras de Macacu
  • Rio Bonito
  • Guapimirim
  • Casimiro de Abreu
  • São Francisco de Itabapoana
  • Paraty
  • Paraíba do Sul
  • Paracambi
  • Santo Antônio de Pádua
  • Mangaratiba
  • São Fidélis
  • São João da Barra
  • Bom Jesus do Itabapoana
  • Vassouras
  • Tanguá
  • Arraial do Cabo
  • Itatiaia
  • Paty do Alferes
  • Bom Jardim
  • Iguaba Grande
  • Piraí
  • Miracema
  • Miguel Pereira
  • Pinheiral
  • Itaocara
  • Quissamã
  • São José do Vale do Rio Preto
  • Silva Jardim
  • Conceição de Macabu
  • Cordeiro
  • Porto Real
  • Cantagalo
  • Sapucaia
  • Mendes
  • Rio Claro
  • Porciúncula
  • Carmo
  • Sumidouro
  • Natividade
  • Cambuci
  • Italva
  • Carapebus
  • Quatis
  • Cardoso Moreira
  • Engenheiro Paulo de Frontin
  • Areal
  • Aperibé
  • Duas Barras
  • Trajano de Moraes
  • Santa Maria Madalena
  • Varre-Sai
  • Rio das Flores
  • Comendador Levy Gasparian
  • São Sebastião do Alto
  • Laje do Muriaé
  • São José de Ubá
  • Macuco
WhatsApp 1
P&P

Olá! Fale agora pelo WhatsApp