Entre em contato com um de nossos especialistas!

First Scuba Dive in Búzios

first scuba dive in búzios: Uma Experiência Inesquecível!

O first scuba dive in búzios oferece uma experiência introdutória com cilindro, especialmente desenvolvida para quem deseja explorar o fundo do mar com segurança, tranquilidade e acompanhamento próximo.

A vivência começa com instruções fundamentais, treino de adaptação e orientação detalhada sobre respiração e flutuação.

A imersão acontece em águas cristalinas, repletas de vida marinha e paisagens deslumbrantes que despertam encantamento imediato.

Essa atividade promove conexão verdadeira com a natureza, favorece evolução pessoal e transforma a viagem em uma experiência inesquecível, ideal para quem busca algo diferente e marcante.

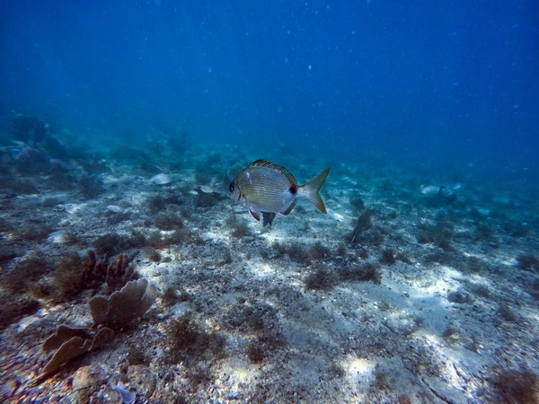
Descobrindo o Mundo Subaquático em Búzios

O first scuba dive in búzios oferece a oportunidade única de explorar as águas da região e descobrir a rica biodiversidade marinha que habita o local .

Com a P&P Mergulho, empresa especializada em mergulho recreativo e cursos especializados, os participantes são guiados por instrutores experientes e multilíngues, promovendo uma experiência segura e enriquecedora.

A imersão proporciona contato direto com a vida marinha, permitindo observar de perto espécies exóticas e coloridas, além de formações rochosas impressionantes.

A Preparação para o Mergulho

Antes de se aventurar no primeiro mergulho em Búzios, os participantes passam por uma preparação cuidadosa, que inclui instruções teóricas sobre equipamentos, técnicas de respiração e segurança subaquática .

O programa discover scuba diving é ideal para quem está iniciando no mergulho e deseja explorar as maravilhas do oceano com confiança e tranquilidade.

Com suporte contínuo dos instrutores da P&P Mergulho, os mergulhadores se sentem seguros e preparados para a experiência única que os aguarda.

Imersão nas Águas de Búzios

Durante o primeiro mergulho em Búzios, os participantes são conduzidos a locais de mergulho deslumbrantes, onde a visibilidade é excepcional e a vida marinha é abundante.

Com águas cristalinas e temperaturas agradáveis, Búzios oferece o cenário perfeito para uma experiência subaquática inesquecível.

Os mergulhadores têm a oportunidade de explorar recifes de corais, naufrágios e cardumes de peixes coloridos, criando memórias que durarão para sempre.

A Importância da Conexão com a Natureza

O first scuba dive in búzios vai além de uma simples atividade recreativa – proporciona uma conexão profunda com a natureza e desperta admiração e respeito pelo ambiente marinho.

Ao mergulhar em meio a criaturas fascinantes e ecossistemas complexos, os participantes vivenciam a beleza e a fragilidade dos oceanos, incentivando a conscientização e a preservação ambiental.

Explore o Mundo Subaquático em Búzios!

O first scuba dive in búzios é uma experiência transformadora que combina aventura, aprendizado e contato direto com a natureza.

Com a P&P Mergulho, os participantes têm a chance de mergulhar em um dos destinos mais deslumbrantes do Brasil, descobrindo um universo subaquático repleto de surpresas e emoções.

Se você busca uma experiência única e inesquecível durante sua viagem, não deixe de explorar as águas cristalinas de Búzios e mergulhar em um mundo de possibilidades.

Aventure-se, descubra e se encante com o primeiro mergulho em Búzios.

Fale conosco e agende seu mergulho!

Encontrou o que procurava?

Faça seu orçamento grátis agora mesmo!

Principais regiões onde a P&P atende First Scuba Dive in Búzios:

RJ
  • Armação dos Búzios
  • Rio de Janeiro
  • São Gonçalo
  • Duque de Caxias
  • Nova Iguaçu
  • Campos dos Goytacazes
  • Belford Roxo
  • Niterói
  • São João de Meriti
  • Petrópolis
  • Volta Redonda
  • Macaé
  • Magé
  • Itaboraí
  • Cabo Frio
  • Maricá
  • Nova Friburgo
  • Barra Mansa
  • Angra dos Reis
  • Mesquita
  • Teresópolis
  • Rio das Ostras
  • Nilópolis
  • Queimados
  • Araruama
  • Resende
  • Itaguaí
  • São Pedro da Aldeia
  • Itaperuna
  • Japeri
  • Barra do Piraí
  • Saquarema
  • Seropédica
  • Três Rios
  • Valença
  • Cachoeiras de Macacu
  • Rio Bonito
  • Guapimirim
  • Casimiro de Abreu
  • São Francisco de Itabapoana
  • Paraty
  • Paraíba do Sul
  • Paracambi
  • Santo Antônio de Pádua
  • Mangaratiba
  • São Fidélis
  • São João da Barra
  • Bom Jesus do Itabapoana
  • Vassouras
  • Tanguá
  • Arraial do Cabo
  • Itatiaia
  • Paty do Alferes
  • Bom Jardim
  • Iguaba Grande
  • Piraí
  • Miracema
  • Miguel Pereira
  • Pinheiral
  • Itaocara
  • Quissamã
  • São José do Vale do Rio Preto
  • Silva Jardim
  • Conceição de Macabu
  • Cordeiro
  • Porto Real
  • Cantagalo
  • Sapucaia
  • Mendes
  • Rio Claro
  • Porciúncula
  • Carmo
  • Sumidouro
  • Natividade
  • Cambuci
  • Italva
  • Carapebus
  • Quatis
  • Cardoso Moreira
  • Engenheiro Paulo de Frontin
  • Areal
  • Aperibé
  • Duas Barras
  • Trajano de Moraes
  • Santa Maria Madalena
  • Varre-Sai
  • Rio das Flores
  • Comendador Levy Gasparian
  • São Sebastião do Alto
  • Laje do Muriaé
  • São José de Ubá
  • Macuco
WhatsApp 1
P&P

Olá! Fale agora pelo WhatsApp