Entre em contato com um de nossos especialistas!

Curso de buceo profundo en Búzios

Descubra o Mundo Subaquático com o curso de buceo profundo en búzios!

O curso de buceo profundo en búzios permite desenvolver habilidades avançadas para realizar mergulhos em grandes profundidades de forma responsável e tecnicamente preparada.

Durante o treinamento, o aluno aprende controle refinado da flutuabilidade, planejamento estratégico, organização do equipamento e adaptação fisiológica ao ambiente.

As saídas práticas ocorrem em pontos de profundidade reconhecidos pela visibilidade e diversidade marinha.

Com evolução progressiva, o mergulhador vivencia desafios reais e expande horizontes de exploração, podendo acessar novos cenários subaquáticos e integrar expedições mais técnicas.

Mergulho com Cilindro: O Que Esperar?

Durante o curso de buceo profundo em Búzios, os alunos podem esperar uma experiência única de mergulho com cilindro.

Aprenderão a utilizar o equipamento de forma segura e eficiente, explorando as belezas subaquáticas da região .

Com instrutores qualificados, os mergulhadores terão a oportunidade de aprimorar suas técnicas e desfrutar de momentos inesquecíveis nas águas cristalinas de Búzios.

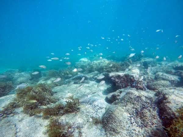
A Vida Marinha de Búzios: Um Paraíso Subaquático

Búzios é conhecida por sua rica biodiversidade marinha, sendo um verdadeiro paraíso subaquático para os amantes do mergulho.

Durante o curso de buceo profundo en búzios, os alunos terão a oportunidade de explorar recifes de corais, naufrágios e uma variedade de espécies marinhas, como tartarugas, peixes coloridos e arraias.

A experiência de mergulhar em meio a tanta vida marinha é verdadeiramente enriquecedora e transformadora.

Por Que Escolher Búzios para o Buceo Profundo?

Ao optar por realizar o curso de buceo profundo en búzios, os mergulhadores têm a garantia de uma experiência única e enriquecedora.

A região oferece uma infraestrutura completa para a prática do mergulho, com escolas especializadas, operadoras de mergulho e pontos de mergulho de tirar o fôlego.

Infraestrutura de Mergulho em Búzios

Instalada em Armação dos Búzios, a P&P Mergulho é uma escola e operadora de mergulho especializada em cursos certificados pela PADI.

Com instrutores experientes e uma abordagem focada na segurança e na qualidade do serviço, a empresa oferece uma experiência única para os alunos do curso de buceo profundo.

Além disso, Búzios conta com uma variedade de pontos de mergulho que atendem a todos os níveis de experiência, proporcionando mergulhos inesquecíveis em meio à natureza exuberante.

Explore as Profundezas do Mar com o curso de buceo profundo en búzios!

Ao participar do curso de buceo profundo, os mergulhadores têm a oportunidade de vivenciar experiências únicas e inesquecíveis nas águas cristalinas da região.

Com a P&P Mergulho como parceira nessa jornada, a segurança, a qualidade do serviço e a excelência no treinamento estão garantidas.

Não perca a chance de explorar as profundezas de Búzios e descobrir um mundo subaquático repleto de vida e beleza.

Inscreva-se agora e mergulhe em uma nova aventura com o curso de buceo profundo!

Encontrou o que procurava?

Faça seu orçamento grátis agora mesmo!

Principais regiões onde a P&P atende Curso de buceo profundo en Búzios:

RJ
  • Armação dos Búzios
  • Rio de Janeiro
  • São Gonçalo
  • Duque de Caxias
  • Nova Iguaçu
  • Campos dos Goytacazes
  • Belford Roxo
  • Niterói
  • São João de Meriti
  • Petrópolis
  • Volta Redonda
  • Macaé
  • Magé
  • Itaboraí
  • Cabo Frio
  • Maricá
  • Nova Friburgo
  • Barra Mansa
  • Angra dos Reis
  • Mesquita
  • Teresópolis
  • Rio das Ostras
  • Nilópolis
  • Queimados
  • Araruama
  • Resende
  • Itaguaí
  • São Pedro da Aldeia
  • Itaperuna
  • Japeri
  • Barra do Piraí
  • Saquarema
  • Seropédica
  • Três Rios
  • Valença
  • Cachoeiras de Macacu
  • Rio Bonito
  • Guapimirim
  • Casimiro de Abreu
  • São Francisco de Itabapoana
  • Paraty
  • Paraíba do Sul
  • Paracambi
  • Santo Antônio de Pádua
  • Mangaratiba
  • São Fidélis
  • São João da Barra
  • Bom Jesus do Itabapoana
  • Vassouras
  • Tanguá
  • Arraial do Cabo
  • Itatiaia
  • Paty do Alferes
  • Bom Jardim
  • Iguaba Grande
  • Piraí
  • Miracema
  • Miguel Pereira
  • Pinheiral
  • Itaocara
  • Quissamã
  • São José do Vale do Rio Preto
  • Silva Jardim
  • Conceição de Macabu
  • Cordeiro
  • Porto Real
  • Cantagalo
  • Sapucaia
  • Mendes
  • Rio Claro
  • Porciúncula
  • Carmo
  • Sumidouro
  • Natividade
  • Cambuci
  • Italva
  • Carapebus
  • Quatis
  • Cardoso Moreira
  • Engenheiro Paulo de Frontin
  • Areal
  • Aperibé
  • Duas Barras
  • Trajano de Moraes
  • Santa Maria Madalena
  • Varre-Sai
  • Rio das Flores
  • Comendador Levy Gasparian
  • São Sebastião do Alto
  • Laje do Muriaé
  • São José de Ubá
  • Macuco
WhatsApp 1
P&P

Olá! Fale agora pelo WhatsApp