Entre em contato com um de nossos especialistas!

Dive travel in Búzios

Invista em uma dive travel in búzios com a P&P Mergulho!

A dive travel in búzios oferece uma combinação perfeita entre turismo e mergulho recreativo, permitindo explorar cenários marinhos incríveis com segurança e acompanhamento profissional.

Durante a experiência, os participantes têm acesso a orientação técnica, equipamentos completos e mergulhos guiados em pontos famosos pela fauna abundante e águas claras.

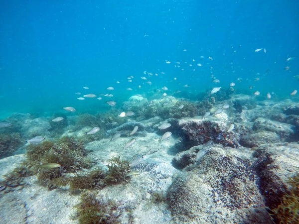
Os Melhores Locais para Mergulho

Búzios possui uma variedade de pontos de mergulho que atendem a todos os níveis de experiência.

Desde recifes de corais coloridos até naufrágios históricos, os mergulhadores podem explorar uma rica biodiversidade marinha.

Destaques incluem a Ilha Feia, Gruta dos Amores e o famoso Navio Velho, cada um oferecendo uma experiência única e emocionante para os aventureiros subaquáticos.

Equipamentos e Preparativos para um Mergulho Seguro

Antes de embarcar em uma dive travel in búzios, é essencial assegurar que todos os equipamentos estejam em perfeitas condições e que os mergulhadores estejam devidamente certificados .

A P&P Mergulho, uma escola e operadora de mergulho renomada em Búzios, oferece todo o suporte necessário para uma experiência segura e inesquecível.

Com equipamentos de qualidade e instrutores experientes, os mergulhadores podem desfrutar das águas cristalinas de Búzios com tranquilidade e confiança.

Planejando sua Viagem de Mergulho

Ao planejar uma dive travel in búzios, é importante escolher a operadora de mergulho certa para atender às suas necessidades e expectativas.

A P&P Mergulho é uma excelente opção, com anos de experiência e um compromisso com a segurança e a satisfação dos mergulhadores.

Além disso, a empresa oferece uma variedade de cursos certificados pela PADI, permitindo que os iniciantes se familiarizem com o mundo subaquático antes de mergulhar nas águas de Búzios.

Dicas para uma Experiência de Mergulho Memorável

Para tornar sua dive travel in búzios ainda mais especial, algumas dicas podem ser úteis:

  • Certifique-se de reservar seu mergulho com antecedência, especialmente durante a alta temporada, para assegurar disponibilidade;
  • Não se esqueça de trazer sua câmera subaquática para capturar os momentos mágicos sob as ondas.
  • Aproveite cada instante e mergulhe de cabeça nessa aventura única.

A diving trip é a escolha perfeita para quem deseja transformar o mergulho em uma experiência completa, unindo aventura, contato com a natureza e aprendizado técnico.

Ideal para mergulhadores certificados ou iniciantes acompanhados por instrutores, essa viagem permite explorar pontos subaquáticos incríveis, observar vida marinha e praticar habilidades em cenários paradisíacos.

Inclui orientação especializada, equipamentos de qualidade e roteiros planejados para assegurar segurança e conforto.

Perfeita para quem busca um roteiro emocionante e enriquecedor, combinando turismo, descoberta e conexão com o mar de forma inesquecível.

Descubra a Magia do Mergulho em Búzios!

Em resumo, uma dive travel in búzios é uma experiência única que combina aventura, natureza e aprendizado em um dos destinos mais deslumbrantes do litoral brasileiro.

Com a P&P Mergulho como sua parceira, você terá a oportunidade de explorar as águas cristalinas de Búzios com segurança e profissionalismo, criando memórias inesquecíveis e fortalecendo suas habilidades subaquáticas.

Não perca a chance de mergulhar nesse paraíso marinho e viver uma experiência que ficará gravada em sua memória para sempre.

Prepare-se para se encantar com a magia do mergulho em Búzios e embarque nessa aventura inesquecível!

Encontrou o que procurava?

Faça seu orçamento grátis agora mesmo!

Principais regiões onde a P&P atende Dive travel in Búzios:

RJ
  • Armação dos Búzios
  • Rio de Janeiro
  • São Gonçalo
  • Duque de Caxias
  • Nova Iguaçu
  • Campos dos Goytacazes
  • Belford Roxo
  • Niterói
  • São João de Meriti
  • Petrópolis
  • Volta Redonda
  • Macaé
  • Magé
  • Itaboraí
  • Cabo Frio
  • Maricá
  • Nova Friburgo
  • Barra Mansa
  • Angra dos Reis
  • Mesquita
  • Teresópolis
  • Rio das Ostras
  • Nilópolis
  • Queimados
  • Araruama
  • Resende
  • Itaguaí
  • São Pedro da Aldeia
  • Itaperuna
  • Japeri
  • Barra do Piraí
  • Saquarema
  • Seropédica
  • Três Rios
  • Valença
  • Cachoeiras de Macacu
  • Rio Bonito
  • Guapimirim
  • Casimiro de Abreu
  • São Francisco de Itabapoana
  • Paraty
  • Paraíba do Sul
  • Paracambi
  • Santo Antônio de Pádua
  • Mangaratiba
  • São Fidélis
  • São João da Barra
  • Bom Jesus do Itabapoana
  • Vassouras
  • Tanguá
  • Arraial do Cabo
  • Itatiaia
  • Paty do Alferes
  • Bom Jardim
  • Iguaba Grande
  • Piraí
  • Miracema
  • Miguel Pereira
  • Pinheiral
  • Itaocara
  • Quissamã
  • São José do Vale do Rio Preto
  • Silva Jardim
  • Conceição de Macabu
  • Cordeiro
  • Porto Real
  • Cantagalo
  • Sapucaia
  • Mendes
  • Rio Claro
  • Porciúncula
  • Carmo
  • Sumidouro
  • Natividade
  • Cambuci
  • Italva
  • Carapebus
  • Quatis
  • Cardoso Moreira
  • Engenheiro Paulo de Frontin
  • Areal
  • Aperibé
  • Duas Barras
  • Trajano de Moraes
  • Santa Maria Madalena
  • Varre-Sai
  • Rio das Flores
  • Comendador Levy Gasparian
  • São Sebastião do Alto
  • Laje do Muriaé
  • São José de Ubá
  • Macuco
WhatsApp 1
P&P

Olá! Fale agora pelo WhatsApp